1. info@provatferri.com : admin :
  2. provatferri.bd@gmail.com : স্টাফ রিপোর্টার : স্টাফ রিপোর্টার
বুধবার, ০৪ ফেব্রুয়ারী ২০২৬, ০২:৪১ অপরাহ্ন
শিরোনামঃ
ডেভিল মুক্ত না হওয়া পর্যন্ত অপারেশন চলবে : স্বরাষ্ট্র উপদেষ্টা অপারেশন ডেভিল হান্ট: দ্বিতীয় দিনে গাজীপুরে গ্রেফতার অন্তত ১০০ ধানমন্ডি ৩২ নম্বর বাড়ি থেকে আলামত সংগ্রহ করেছে সিআইডি শ্রীলঙ্কায় দেশব্যাপী বিদ্যুৎ বিভ্রাট, বানরকে দায়ী করলেন মন্ত্রী জয়কে অপহরণ ও হত্যাচেষ্টা মামলা থেকে খালাস পেলেন মাহমুদুর রহমান গাজীপুরে হামলার ঘটনায় গুরুতর আহত ৫ জন ঢামেকে ভর্তি গাজীপুরে শিক্ষার্থীদের ওপর হামলায় জড়িতদের বিচারের আওতায় আনা হবে বিএসএমএমইউয়ে নতুন নামের ব্যানার, বাদ বঙ্গবন্ধু শেখ মুজিব ৬৫৩১ জন প্রাথমিকের সহকারী শিক্ষক নিয়োগ হাইকোর্টে বাতিল ধানমন্ডি ৩২ এসে এক নারী ও পুরুষের ‘জয় বাংলা’ স্লোগান, অতঃপর…
জাতীয়

সব পক্ষ শর্তহীন সংলাপে বসবে, পিটার হাসের আশাবাদ

ঢাকায় নিযুক্ত মার্কিন রাষ্ট্রদূত পিটার হাস সাংবাদিকদের বলেছেন, গণতান্ত্রিক নির্বাচনে কোনো পক্ষের সংঘাতের জায়গা নেই। তিনি আশা করেন, বাংলাদেশে উদ্বেগ প্রশমন এবং একটি অবাধ ও শান্তিপূর্ণ নির্বাচনের পথ খুঁজতে সব

বিস্তারিত...

দেশ ছাড়ছিলেন বাইডেনের কথিত সেই উপদেষ্টা, বিমানবন্দর থেকে আটক

যুক্তরাষ্ট্রের প্রেসিডেন্ট জো বাইডেনের কথিত উপদেষ্টা মিয়া জাহিদুল ইসলাম আরেফীকে আটক করেছে ঢাকা মহানগর গোয়েন্দা পুলিশ (ডিবি)। রবিবার (২৯ অক্টোবর) দুপুরে রাজধানীর হযরত শাহজালাল আন্তর্জাতিক বিমানবন্দর থেকে তাকে আটক করা

বিস্তারিত...

মঙ্গলবার থেকে তিন দিনের অবরোধ কর্মসূচি বিএনপির

বিএনপি আজ রোববার সারা দেশে সকাল–সন্ধ্যা হরতাল কর্মসূচি শেষে টানা তিন দিনের সর্বাত্মক অবরোধ কর্মসূচি দিয়েছে । আগামী মঙ্গলবার, বুধবার ও বৃহস্পতিবার দেশব্যাপী রাজপথ, রেলপথ ও নৌপথে সর্বাত্মক অবরোধের ঘোষণা

বিস্তারিত...

ঢাকায় রাজপথে প্রাণহানি-সহিংসতায় গভীর শোক ইইউ’র

বাংলাদেশে চলমান রাজনৈতিক সহিংসতা এবং প্রাণহানির ঘটনায় গভীর শোক প্রকাশ করেছে ইউরোপীয় ইউনিয়ন (ইইউ) ও জোটটির সদস্য দেশগুলোর ঢাকা মিশন। রোববার ঢাকায় ইইউ ডেলিগেশনের পক্ষ থেকে এই উদ্বেগের কথা জানানো

বিস্তারিত...

বঙ্গবন্ধুকে ডক্টর অব লজ ডিগ্রি দিল ঢাকা বিশ্ববিদ্যালয়

জাতির পিতা বঙ্গবন্ধু শেখ মুজিবুর রহমানকে সম্মানসূচক ডিগ্রি ডক্টর অব লজ দিল ঢাকা বিশ্ববিদ্যালয়। আজ রোববার সকালে ঢাকা বিশ্ববিদ্যালয়ের (ঢাবি) বিশেষ সমাবর্তনে এই সম্মানসূচক ডিগ্রি গ্রহণ করেন প্রধানমন্ত্রী শেখ হাসিনা।

বিস্তারিত...

বিএনপি নেতা আমীর খসরুর বাসার নিচে আইনশৃঙ্খলা রক্ষাকারী বাহিনী

বিএনপির স্থায়ী কমিটির সদস্য আমীর খসরু মাহমুদ চৌধুরীর বাসার নিচে আইনশৃঙ্খলা রক্ষাকারী বাহিনীর সদস্যরা অবস্থান করছে। বিএনপির চেয়ারপারসনের প্রেস উইংয়ের সদস্য শামসুদ্দিন দিদার এ তথ্য জানান। শামসুদ্দিন দিদার বলেন, আজ

বিস্তারিত...

বিএনপি নেতা মির্জা আব্বাস আটক

বিএনপির স্থায়ী কমিটির সদস্য মির্জা আব্বাসকে আটক করেছে আইনশৃঙ্খলা বাহিনীর সদস্যরা। রোববার (২৯ অক্টোবর) তাকে আটক করা হয়। এর আগে বিএনপির মহাসচিব মির্জা ফখরুল ইসলামকে আটক করে ডিবি কার্যালয়ে নেয়া

বিস্তারিত...

মির্জা ফখরুলকে গ্রেপ্তার দেখানো হবে : ডিএমপির মুখপাত্র

বিএনপির মহাসচিব মির্জা ফখরুল ইসলাম আলমগীরকে আটক করে ঢাকা মহানগর পুলিশের (ডিএমপি) গোয়েন্দা বিভাগের (ডিবি) মিন্টো রোডের কার্যালয়ে নেওয়া হয়েছে। তাঁকে গ্রেপ্তার দেখানো হবে বলে প্রথম আলোকে জানিয়েছেন ডিএমপির গণমাধ্যম

বিস্তারিত...

আগামীকাল সারা দেশে বিএনপির সকাল-সন্ধ্যা হরতাল

বিএনপি আগামীকাল রোববার সারা দেশে সকাল-সন্ধ্যা হরতাল ডেকেছে। দলটি আজ শনিবার দ্বিতীয় দফায় সংবাদ বিজ্ঞপ্তি দিয়ে এই হরতালের কথা জানায়। দলটির মিডিয়া সেলের প্রধান জহিরউদ্দিন স্বপন এ তথ্য নিশ্চিত করেন।

বিস্তারিত...

বঙ্গবন্ধু টানেলের উদ্বোধন করলেন প্রধানমন্ত্রী শেখ হাসিনা

বহুল প্রত্যাশিত চট্টগ্রামের কর্ণফুলী নদীর তলদেশে নির্মিত দেশের প্রথম যোগাযোগ পথ টানেলের ফলক উন্মোচন করেছেন প্রধানমন্ত্রী শেখ হাসিনা। এর মাধ্যমে নদীর তলদেশে দক্ষিণ এশিয়ায় প্রথম সড়ক টানেলের উদ্বোধন করলেন প্রধানমন্ত্রী।

বিস্তারিত...

আওয়ামী লীগ ও বিএনপিকে পছন্দের জায়গায় সমাবেশের অনুমতি, জামায়াতকে নয়

আওয়ামী লীগ ও বিএনপিকে তাদের পছন্দের জায়গায় সমাবেশের অনুমতি দিয়েছে ঢাকা মহানগর পুলিশ (ডিএমপি)। আগামীকাল শনিবার আওয়ামী লীগ জাতীয় মসজিদ বায়তুল মোকাররমের দক্ষিণ গেটে এবং বিএনপি নয়াপল্টনে তাদের কেন্দ্রীয় কার্যালয়ের

বিস্তারিত...

৩৬৫ পুলিশ কর্মকর্তা বিশেষ পদোন্নতি পাচ্ছেন

নির্বাচনের আগে পুলিশে ৩৬৫টি সুপারনিউমারি বা সংখ্যাতিরিক্ত পদ সৃষ্টির চূড়ান্ত অনুমোদন দিয়েছে সরকার। আজ বৃহস্পতিবার দুপুরে মন্ত্রিপরিষদ সচিব মাহবুব হোসেনের সভাপতিত্বে অনুষ্ঠিত প্রশাসনিক উন্নয়ন সংক্রান্ত সচিব কমিটির বৈঠকে এ সংক্রান্ত

বিস্তারিত...

আটক ও তল্লাশির ক্ষমতা পাচ্ছে না আনসার, বিল সংশোধনের সুপারিশ

আইনের খসড়ায় আনসার ব্যাটালিয়নকে অপরাধী আটক ও তল্লাশির ক্ষমতা দেওয়ার যে প্রস্তাব করা হয়েছিল, তাতে সংশোধনী আনার সুপারিশ করেছে স্বরাষ্ট্র মন্ত্রণালয়-সম্পর্কিত সংসদীয় স্থায়ী কমিটি। আনসার ব্যাটালিয়নের সামনে কোনো অপরাধের ক্ষেত্রে

বিস্তারিত...

২০২৪ সালের সরকারি ছুটির তালিকা প্রকাশ

মন্ত্রিসভার অনুমোদনের পর ২০২৪ সালের ছুটির তালিকা প্রকাশ করেছে সরকার। বৃহস্পতিবার জনপ্রশাসন মন্ত্রণালয় থেকে এ তালিকা প্রকাশ করা হয়। আগামী বছর সাধারণ ও নির্বাহী আদেশ মিলিয়ে ২২ দিন ছুটি থাকবে।

বিস্তারিত...

কারও কথা শুনবেন না, ব্যালট পেপার পাঠাবেন ফজরের পর : মাহফুজ আনাম

নির্বাচন কমিশনকে (ইসি) উদ্দেশ করে জ্যেষ্ঠ সাংবাদিক ও ইংরেজি দৈনিক ডেইলি স্টার সম্পাদক মাহফুজ আনাম বলেছেন, কারও কথা শুনবেন না, ভোটকেন্দ্রে ব্যালট পেপার পাঠাবেন ফজরের পর। বৃহস্পতিবার রাজধানীর আগারগাঁওয়ে নির্বাচন

বিস্তারিত...

নির্বাচনের জন্য অনুকূল পরিবেশ নেই : সিইসি

দ্বাদশ সংসদ নির্বাচনের জন্য এখনো কাঙিক্ষত পরিবেশ তৈরি হয়নি বলে মন্তব্য করেছেন প্রধান নির্বাচন কমিশনার (সিইসি) কাজী হাবিবুল আউয়াল। নির্বাচন সামনে রেখে দেশের জ্যেষ্ঠ সাংবাদিক ও সম্পাদকদের সঙ্গে বৈঠকে এমন

বিস্তারিত...

দেশে-বিদেশে ষড়যন্ত্রকারীদের বিরুদ্ধে রাষ্ট্রীয় সংস্থাগুলো কাজ করছে : প্রধানমন্ত্রী

বাংলাদেশের অগ্রযাত্রা ঠেকাতে একটি দুষ্টচক্র দেশে-বিদেশে সরকার এবং দেশের বিরুদ্ধে ষড়যন্ত্র ও অপপ্রচার চালাচ্ছে বলে জানিয়েছেন প্রধানমন্ত্রী শেখ হাসিনা। ওই দুষ্টচক্রের বিরুদ্ধে রাষ্ট্রীয় সংস্থাগুলো কাজ করছে বলেও জানান প্রধানমন্ত্রী। বুধবার

বিস্তারিত...

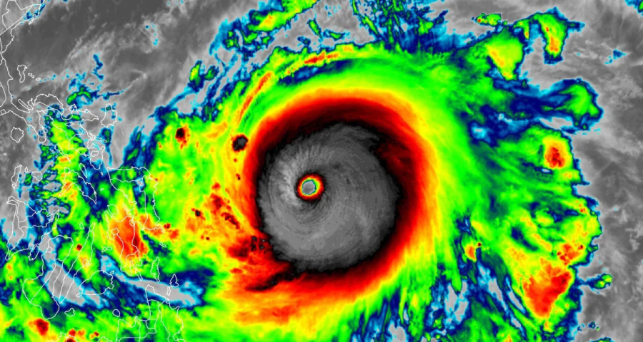
ঘূর্ণিঝড় ‘হামুন’ : সারাদেশে নৌযান চলাচল বন্ধ

বঙ্গোপসাগরে সৃষ্ট ঘূর্ণিঝড় ‘হামুন’ ধেয়ে আসায় সারাদেশে নৌযান চলাচল বন্ধের ঘোষণা করেছে বাংলাদেশ অভ্যন্তরীণ নৌ-পরিবহন কর্তৃপক্ষ (বিআইডব্লিউটিএ)। মঙ্গলবার এক বিজ্ঞপ্তিতে এ তথ্য জানায় নৌপরিবহন মন্ত্রণালয়। নৌপরিবহন মন্ত্রণালয়ের সিনিয়র তথ্য অফিসার

বিস্তারিত...

ব্রাসেলসের উদ্দেশে ঢাকা ছেড়েছেন প্রধানমন্ত্রী

বেলজিয়ামের রাজধানী ব্রাসেলসে শুরু হতে যাচ্ছে গ্লোবাল গেটওয়ে ফোরামের প্রথম বৈঠক। দুই দিনব্যাপী আয়োজিত ওই ফোরামে যোগ দিতে ঢাকা ত্যাগ করেছেন প্রধানমন্ত্রী শেখ হাসিনা। মঙ্গলবার (২৪ অক্টোবর) বেলা ১১টা ১২

বিস্তারিত...

ঘূর্ণিঝড় হামুন : পায়রা ও চট্টগ্রামে ৭ নম্বর বিপদ সংকেত

ক্রমশ বাংলাদেশের উপকূলের দিকে ধেয়ে আসছে ঘূর্ণিঝড় ‘হামুন’। আগের চেয়ে আরও বিক্ষুব্ধ হয়ে উঠেছে সাগর। উত্তরপশ্চিম বঙ্গোপসাগর এলাকায় অবস্থানরত প্রবল ঘূর্ণিঝড় ‘হামুন’ উত্তরপূর্ব দিকে অগ্রসর হয়ে বর্তমানে একই এলাকায় (১৯.৭০

বিস্তারিত...

© ২০২৩